纹眉对人体健康有害吗
 
    由于眉型可以显示一个人的性格、气质、修养,所以在纹眉之前,必须根据患者的脸型、年龄、职业等特点,精心设计、选择好眉型,并用眉笔描画出患者满意的眉形。不过由于纹眉洗掉有一定困难,不少人也担心纹眉有害吗,因此对纹眉犹豫不决。其实任何一个眉毛整容手术都会有风险,但了解它们并注意选择好的整容医生和整容医院,纹眉的害处还是可以避免的。
 
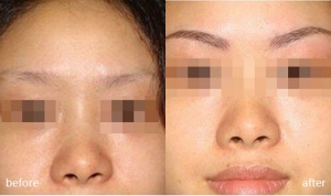
艺星纹眉前后对比
 
 
    纹眉的基本原理
 
    纹眉是把@@垂直的刺在皮肤上,痛感较强,可能使眼睑周围的皮肤松弛,容易出现皱纹和眼睑下垂,因为每次刺入的@@数量有限,所以上色时间较长;纹眉是皮肤表层操作,不会伤害其他组织,一般手术后皮肤只是红肿,两三天后红肿消失。选择的整容医院,可以 手术过程的感染,对身体没危害
 
    纹眉易误刺入皮肤深层,若误把色料带入深层并与皮下黄色素基因混合,便会造成变青变蓝,且不易补救。另外,由于纹眉是以多次的单点来刺绣整条眉,所以效果会比较生硬。而绣眉每次的点数较多,可造成柔顺自然的效果。从持久性方面看,纹眉可保持长久,从疼痛感上说,纹眉是把@@垂直的刺在皮肤上,痛感较强。
 
    所以说,纹眉在实质上是一种创伤性皮肤着色术。是用纹刺器械将颜料植染于皮肤组织内,形成长期不褪色的新的眉形和眼线。不过,只要选择的医院、专业的医生做治疗。在接受手术之前全方位了解纹眉常识及做好事后的护理。一般而言是不会产生危害的。
 
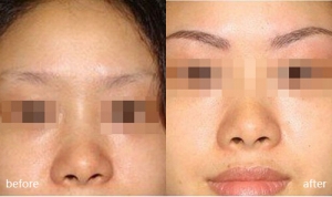
艺星纹眉前后对比
 
    艺星纹眉的优势:
 
    1、科学:按照眉毛生长形态分三区六部九个生长方向,一根一根地植出富有立体感、绒毛感和质感的眉毛,使整体眉形呈现线条流畅、色泽深浅适度、自然生动的高仿真形态。
 
    2、自然着色:严格使用进口原装纯植物色剂,色泽更自然,更贴合个人气质,依据光学原理,对眉头、眉峰、眉稍选择不同的色调,使绣出来的眉毛符合眉毛本身的明暗程度,还原眉毛立体形态。
 
    3、三维设计:根据眉毛的整体形态,通过数字化化三维设计,以及相应的美学标准,综合设计出 的眉型,个性十足。
 
    很多爱美的人想要通过纹眉来给自己的美丽加分,而纹眉这种方法是一个可以改变自身形象又能节省时间的好方法,可是纹眉是否有害是很大人关心的问题,希望上面的介绍能够帮助到更多的人了解纹眉。更多疑惑点击咨询